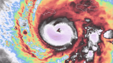
দানব হারিকেন মেলিসা 174 বছরের মধ্যে সবচেয়ে শক্তিশালী জ্যামাইকার দিকে যাচ্ছে
আবহাওয়াবিদ মাইকেল লোরি লিখেছেন, “আমরা আটলান্টিকে স্যাটেলাইটের ইতিহাস দেখছি।” মার্কিন হারিকেন সেন্টার বলেছে যে ঝড়ের বাতাসের “সম্পূর্ণ কাঠামোগত ব্যর্থতা” হওয়ার সম্ভাবনা রয়েছে। এটি বিশেষ করে পাহাড়ের ঢালে এবং ঝড়ের প্রভাবে উন্মুক্ত পাহাড়গুলিতে সত্য, যেখানে বাতাসের গতি 30 শতাংশ পর্যন্ত শক্তিশালী হতে পারে। পূর্ব জ্যামাইকার কিছু অংশে 750 মিলিমিটারের বেশি বৃষ্টি হতে পারে, যখন পশ্চিম হাইতিতে 400 মিলিমিটার বৃষ্টিপাত হতে পারে, হারিকেন সেন্টার “বিপর্যয়কর আকস্মিক বন্যা এবং একাধিক ভূমিধসের” সম্ভাবনার কথা উল্লেখ করে বলেছে। রেকর্ড রাখার 174 বছর। হারিকেন গিলবার্ট 1988 সালে দ্বীপে আঘাত হানার সময় একটি ক্যাটাগরি 3 এর ঝড় ছিল। জ্যামাইকার আবহাওয়া পরিষেবার প্রধান পরিচালক ইভান থম্পসন বলেন, হারিকেন ইভান এবং বেরিল উভয়ই ক্যাটাগরি 4, কিন্তু ল্যান্ডফল করেনি। জ্যামাইকার বন্যা-প্রবণ সম্প্রদায়গুলিতে বাধ্যতামূলক স্থানান্তরের নির্দেশ দেওয়া হয়েছিল, বাসগুলি মানুষকে নিরাপদ আশ্রয়ে নিয়ে যাচ্ছে। জ্যামাইকার ওল্ড হারবারে এক জেলে নৌকা বাঁধছে। সোমবার হারিকেন মেলিসার প্রস্তুতিতে। ক্রেডিট: এপি জ্যামাইকান সরকারী কর্মকর্তারা বলেছেন যে তারা উদ্বিগ্ন যে দ্বীপ জুড়ে খোলা 880 টিরও বেশি আশ্রয়কেন্দ্রে 1,000 টিরও কম লোক রয়েছে। জ্যামাইকার পরিবহন মন্ত্রী ড্যারিল ভাজ জনগণকে “স্মার্ট হতে… অন্যথায়, দুর্ভাগ্যবশত, আপনি পরিণতি ভোগ করবেন।” কিন্তু কেউ কেউ জোর দিয়েছিলেন: “এটি একটি ক্যাটাগরি 5 হারিকেনের জন্য যা প্রয়োজন তার থেকে অনেক দূরে।” আমি থাকছি। “তারা যা বলে তা আমি শুনছি, কিন্তু আমি যাচ্ছি না,” বলেছেন নোয়েল ফ্রান্সিস, একজন 64 বছর বয়সী জেলে যিনি ওল্ড হারবার বে, দক্ষিণের শহর যেখানে তিনি জন্মগ্রহণ করেছিলেন এবং বেড়ে উঠেছেন। “আমি নিজেকে সামলাতে পারি।” জ্যামাইকার দক্ষিণ উপকূলের অনেক শহরে রাতারাতি বাতাসের কারণে বিদ্যুৎ বিভ্রাটের খবর পাওয়া গেছে। জ্যামাইকায়, মানুষ ঝড়ের আগে খাবার মজুত করে। ক্রেডিট: AP “আমি মনে করি না ঝড় আমার বাড়ির ক্ষতি করবে। আমার একমাত্র উদ্বেগ হল বন্যা, কারণ আমরা সমুদ্রের কাছাকাছি থাকি,” বলেছেন হায়াসিন্থ হোয়াইট, 49, যিনি আরও বলেছিলেন যে তার আশ্রয়ে যাওয়ার কোন পরিকল্পনা নেই। পশ্চিম জ্যামাইকার ব্ল্যাক রিভার সম্প্রদায়ের মধ্যে সবচেয়ে বড় ঢেউ প্রত্যাশিত ছিল, যেখানে সান্দ্রা ওয়াকার একমাত্র রাস্তার বিক্রেতা ছিলেন হারিকেনের কয়েক ঘন্টা আগে কাজ করেছিলেন। “আমার এখানে থাকা ছাড়া কোন উপায় নেই,” তিনি তার কাউন্টারে আলু, সবুজ কলা, টমেটো এবং সবুজ পেঁয়াজের ডালপালা সাজানোর সময় বলেছিলেন। ওয়াকার, দুই সন্তানের একক মা, হারিকেন বেরিল গত বছর তার ব্যবসা এবং বাড়ি ধ্বংস করার পরে এখনও পুনরুদ্ধারের চেষ্টা করছেন। তিনি সমুদ্রের ধারে বাস করেন কিন্তু আশ্রয়ে যাওয়ার পরিকল্পনা করেন না কারণ হারিকেন ইভানের সময় তার একটি “ভয়ংকর” আশ্রয়ের অভিজ্ঞতা ছিল, যেখানে সুবিধাটি শুধুমাত্র মুষ্টিমেয় গরুর মাংস ভাগ করে নিয়েছে। হারিকেন মেলিসা ন্যাশনাল হারিকেন সেন্টার অনুসারে জ্যামাইকার কাছে আসার সাথে সাথে একটি ক্যাটাগরি 5 ঝড়ে শক্তিশালী হয়েছে। ক্রেডিট: Getty Images ধীর গতিতে চলা ঝড় হাইতিতে অন্তত তিনজন এবং চতুর্থজন নিহত হয়েছে। ডোমিনিকান প্রজাতন্ত্রে আরও একজন নিখোঁজ রয়েছে। জ্যামাইকায় সপ্তাহান্তে ঝড়ের আগে গাছ কাটতে গিয়ে দুইজন মারা গেছে। জ্যামাইকার পানি ও পরিবেশ মন্ত্রী ম্যাথিউ সামুদা বলেছেন, “এখানে খেলার কিছু নেই।” “প্রস্তুতির সময় প্রায় শেষ।” 50,000 এরও বেশি গ্রাহক বিদ্যুৎবিহীন ছিলেন। ঝড়ের আগে ভূমিধস, গাছ উপড়ে এবং বিদ্যুতের লাইন ভেঙে পড়ার খবর পাওয়া গেছে। পূর্ব কিউবায়, গ্রানমা, সান্তিয়াগো ডি কিউবা, গুয়ানতানামো এবং হলগুইন প্রদেশের জন্য একটি হারিকেন সতর্কতা জারি করা হয়েছিল এবং লাস টুনাসের জন্য একটি গ্রীষ্মমন্ডলীয় ঝড়ের সতর্কতা জারি করা হয়েছিল। কিউবার কিছু অংশে উপকূল বরাবর 500 মিলিমিটারের বেশি বৃষ্টি এবং উল্লেখযোগ্য ঝড়ের প্রত্যাশিত। কিউবান কর্মকর্তারা বলেছেন যে তারা দ্বীপের দ্বিতীয় বৃহত্তম শহর সান্তিয়াগো সহ এই অঞ্চল থেকে 600,000 এরও বেশি লোককে সরিয়ে নেবে৷এপি, ব্লুমবার্গ বিশ্বজুড়ে শিরোনাম হওয়া ঘটনাগুলির উপর আমাদের বিদেশী সংবাদদাতাদের কাছ থেকে সরাসরি একটি নোট পান৷ ওয়ার্ল্ড নিউজলেটারে আমাদের সাপ্তাহিক কী চলছে তার জন্য সাইন আপ করুন।
প্রকাশিত: 2025-10-28 03:58:00
উৎস: www.smh.com.au









