ক্যাটাগরি 5 এর ঝড় জ্যামাইকার কাছে আসার সাথে সাথে হারিকেন মেলিসার “বিপর্যয় হওয়ার সমস্ত উপাদান” রয়েছে, বিজ্ঞানীরা সতর্ক করেছেন।

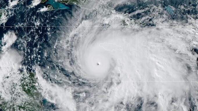
বিজ্ঞানীরা সতর্ক করেছেন যে হারিকেন মেলিসা আজ জ্যামাইকায় আঘাত হানলে ব্যাপক ধ্বংসযজ্ঞ হতে পারে। সর্বোচ্চ 175 মাইল (282 কিমি/ঘন্টা) বেগে বাতাসের সাথে হারিকেন মেলিসা এখন সাফির-সিম্পসন উইন্ড স্কেলে ক্যাটাগরি 5। ইউএস ন্যাশনাল হারিকেন সেন্টার (এনএইচসি) অনুসারে এটি এই বছরের বিশ্বের সবচেয়ে শক্তিশালী ঝড়। হারিকেন আসার সাথে সাথে, বিজ্ঞানীরা সতর্ক করছেন যে মেলিসার অত্যন্ত ধীর গতিতে প্রায় পাঁচ মাইল প্রতি ঘন্টা (7 কিমি/ঘন্টা) গতির অর্থ হল ঝড়টি কয়েক দিন ধরে জ্যামাইকার উপরে থাকবে। এনএইচসি পূর্বাভাস দিয়েছে যে দ্বীপের কিছু অংশে 40 ইঞ্চি (100 সেমি) পর্যন্ত বৃষ্টিপাত হতে পারে, যার ফলে ব্যাপক বন্যা হতে পারে। মেলিসা যেখানে ল্যান্ডফল করেছে তার কাছাকাছি এটি স্থল স্তর থেকে নয় থেকে 13 ফুট (2.7 থেকে 3.9 মিটার) উচ্চতায় পৌঁছবে বলে আশা করা হচ্ছে। রিডিং ইউনিভার্সিটির আবহাওয়াবিদ অধ্যাপক লিজ স্টিভেনস বলেছেন: “এখন ক্যাটাগরি 5-এ শক্তিশালী হয়ে, ধীর গতিতে চলা হারিকেন মেলিসাতে বিধ্বংসী ঝড়ের ঢেউ, প্রবল বাতাস এবং অস্বাভাবিকভাবে উচ্চ বৃষ্টিপাত সহ একটি বিপর্যয়কর ঝড়ে পরিণত হওয়ার সমস্ত উপাদান রয়েছে।” হারিকেন মেলিসা (ছবিতে) আজ জ্যামাইকায় আঘাত হানলে ব্যাপক ধ্বংসযজ্ঞ হতে পারে, বিজ্ঞানীরা সতর্ক করেছেন। আপনার ব্রাউজার iframes সমর্থন করে না. গত কয়েকদিন ধরে হারিকেন মেলিসা ধীরে ধীরে ক্যারিবিয়ান সাগরের উপর দিয়ে অগ্রসর হচ্ছে এবং ক্রমাগত শক্তি অর্জন করছে। 26শে অক্টোবর, মাত্র একদিনে বাতাসের গতিবেগ 70 মাইল (112 কিমি/ঘন্টা) বেড়ে যাওয়ার পর ঝড়টি Saffir-Simpson উইন্ড স্কেলে ক্যাটাগরি 4-এ পৌঁছেছিল। পরের দিন, ঝড়টি আরও তীব্র হয় এবং উষ্ণ মহাসাগরের জলের উপর দিয়ে প্রবাহিত হয়ে ক্যাটাগরি 5-এ পৌঁছে। আজ সকালে হারিকেনটি কিংস্টন, জ্যামাইকার দক্ষিণ-পশ্চিমে মাত্র 115 মাইল (185 কিমি) সরে গেছে। যদিও এটি আজ অবধি ল্যান্ডফলের প্রত্যাশিত নয়, হারিকেনটি ইতিমধ্যে জ্যামাইকায় তিনটি মৃত্যুর পাশাপাশি হাইতি এবং ডোমিনিকান প্রজাতন্ত্রে চারটি মৃত্যুর কারণ হয়েছে৷ যাইহোক, বিশেষজ্ঞরা সতর্ক করেছেন যে ধ্বংসের সবচেয়ে খারাপটি এখনও আসেনি। ইউনিভার্সিটি অব রিডিং-এর হাইড্রোলজিস্ট প্রফেসর হান্না ক্লক ডেইলিকে জানিয়েছেন। মেল দ্বারা এটি পাঠান হারিকেন মেলিসা “একটি গভীর এবং দীর্ঘস্থায়ী দাগ ছেড়ে যাবে অঞ্চল জুড়ে।” তিনি যোগ করেছেন: মেলিসা একটি অদ্ভুত, ধীর গতির হারিকেন যা আটলান্টিকে ঘোরাফেরা করে, দমকা হাওয়ায় আরও শক্তিশালী হয়ে উঠছে। ঝড়টি এখনও জ্যামাইকায় ল্যান্ডফল করেনি তবে ইতিমধ্যে দ্বীপে হারিকেন-সম্পর্কিত তিনটি মৃত্যু ঘটিয়েছে। ছবি: কিংস্টন, জ্যামাইকার বোর্ডওয়াকে ঢেউ আছড়ে পড়ছে। বিজ্ঞানীরা বলছেন, হারিকেন মেলিসা বড় ধরনের ক্ষতির জন্য উপযুক্ত পরিস্থিতি রয়েছে। এটি মেক্সিকো উপসাগরে বেশ কয়েক দিন কাটিয়েছে এবং এটি ভূমির কাছে আসার সাথে সাথে খুব ধীরে ধীরে চলছে। উচ্ছেদের আদেশ কোথায় দেওয়া হয়েছিল? রকি পয়েন্ট, ক্ল্যারেন্ডনপোর্টল্যান্ড কটেজ, ক্ল্যারেন্ডন ওল্ড হারবার বে, সেন্ট ক্যাথরিনরিভারটন সিটি, সেন্ট অ্যান্ড্রুপোর্ট রয়্যাল, কিংস্টন হারবার নিউ হ্যাভেন, কিংস্টনবুল বে, কিংস্টনের পূর্বে “এটি সেই মারাত্মক পরিস্থিতিগুলির মধ্যে একটি যার জন্য আপনি প্রস্তুত, কিন্তু মরিয়া হয়ে আপনি আশা করছেন যে তারা সত্যিকারের মানুষ যারা তারা এখনও দান করছে৷ বিপদ।” বিজ্ঞানীরা বিশ্বাস করেন যে মানবসৃষ্ট জলবায়ু পরিবর্তনের কারণে এই অদ্ভুত বৃদ্ধির গতি আরও তীব্র হয়েছে। হারিকেনগুলি মূলত “সংবহনশীল তাপ ইঞ্জিন”, যার অর্থ তারা সমুদ্র থেকে উষ্ণ, আর্দ্র বাতাসের উত্থান এবং পতন দ্বারা চালিত হয়। সাগর যত উষ্ণ হবে, হারিকেন তত বেশি শক্তি সঞ্চয় করতে পারে এবং এটি তত বেশি ধ্বংসের কারণ হতে পারে। ইম্পেরিয়াল কলেজ লন্ডনের একজন নেতৃস্থানীয় জলবায়ু বিজ্ঞানী এবং ওয়ার্ল্ড ওয়েদার অ্যাট্রিবিউশনের প্রধান অধ্যাপক ফ্রেডেরিক অটো ডেইলি মেইলকে বলেছেন: “সাম্প্রতিক মাসগুলিতে মেক্সিকো উপসাগর খুব উষ্ণ হয়েছে, মূলত জীবাশ্ম জ্বালানি পোড়ানোর কারণে বিশ্ব উষ্ণায়নের কারণে, খুব শক্তিশালী হারিকেনের জন্য আদর্শ পরিস্থিতি তৈরি করেছে।” গবেষণা গ্রুপ ক্লাইমেট সেন্ট্রালের একটি বিশ্লেষণ দেখায় যে জলবায়ু পরিবর্তনের কারণে মেক্সিকো উপসাগরে অস্বাভাবিকভাবে উষ্ণ জলের সম্ভাবনা 700 গুণ বেশি হয়ে গেছে। এই সমীক্ষাটি পরামর্শ দেয় যে এই উষ্ণ জলগুলি, গ্রীষ্মমন্ডলীয় জলবায়ুর সামগ্রিক উষ্ণতার সাথে মিলিত হয়ে মেলিসার বাতাসের গতিবেগ প্রায় 10 মাইল (16 কিমি/ঘন্টা) বাড়িয়েছে এবং সম্ভাব্য ক্ষতি 50 শতাংশ বাড়িয়েছে। “প্রতিটি উত্তর আটলান্টিক হারিকেন আমরা বছরের পর বছর ধরে অধ্যয়ন করেছি, জলবায়ু পরিবর্তনের কারণে বাতাসের গতি এবং সংশ্লিষ্ট বৃষ্টিপাত উভয় ক্ষেত্রেই আরও তীব্র হয়ে উঠেছে,” বলেছেন অধ্যাপক অটো৷ বিজ্ঞানীরা সতর্ক করেছেন যে বর্তমান হারে হারিকেন মেলিসা জ্যামাইকার উপর কয়েক দিন ধরে থাকতে পারে। ন্যাশনাল হারিকেন সেন্টার ভবিষ্যদ্বাণী করেছে যে ঝড় (ছবিতে) দ্বীপের কিছু অংশে 40 ইঞ্চি (100 সেমি) পর্যন্ত বৃষ্টিপাত হতে পারে, যার ফলে ব্যাপক বন্যা দেখা দিতে পারে। “মেলিসা ব্যতিক্রম নয়, তবে আমাদের এখনও কতটা নিবিড় গবেষণা করতে হবে তা পরিমাপ করার জন্য।” বিশেষজ্ঞরা বলছেন, কম বায়ুচাপ এবং বাতাস ও পানির মধ্যে ঘর্ষণ দ্বারা সৃষ্ট ঝড়ের ঢেউ সম্ভবত সবচেয়ে মারাত্মক উপাদান হতে পারে। উদাহরণস্বরূপ, 2013 সালে টাইফুন হাইয়ান ফিলিপাইনের পূর্ব ভিসায়াসে 6,300 লোককে হত্যা করেছিল, বেশিরভাগই 16-ফুট (পাঁচ-মিটার) ঝড়ের ফলে। মেইল: “বন্যার ক্ষতি হবে ব্যাপক এবং তাৎপর্যপূর্ণ। দ্রুত গতিতে চলমান পানি ভবনের ভিত্তি ক্ষয় করবে এবং গাছ উপড়ে ফেলবে। একই সময়ে, হারিকেন মেলিসার বাতাস ভবন ধ্বংস করতে, ছাদ ছিঁড়ে ফেলার জন্য যথেষ্ট শক্তিশালী হবে, এমনকি যেখানে হারিকেন স্ট্র্যাপ নামে পরিচিত ধাতব বন্ধনী স্থাপন করা হয়েছে। জ্যামাইকায় যখন তারা স্থলে পৌঁছায়, তখন প্রবল বাতাস ইতিমধ্যেই গুরুতর পরিণতি ঘটাতে শুরু করেছে। লঙ্ঘন ঝড় ইতিমধ্যেই ডোমিনিকান রিপাবলিক (ছবিতে) ভারী বৃষ্টিপাত করেছে, যেখানে চারজন মারা গেছে বলে ধারণা করা হচ্ছে। বিজ্ঞানীরা সতর্ক করেছেন যে জ্যামাইকার নিম্নভূমির ভূগোল এবং ছোট আকার এটিকে বিশেষ করে ঝড়ের বন্যার জন্য ঝুঁকিপূর্ণ করে তোলে, যা প্রায়শই হারিকেনের সবচেয়ে মারাত্মক অংশ। ছবি: সেন্ট ক্যাথরিন প্যারিশ, জ্যামাইকার বিদ্যুতের লাইন নিচে পড়ে গেছে। বাতাসের গতিবেগ বাড়িঘর ধ্বংস করার জন্য যথেষ্ট শক্তিশালী হবে, ছাদ ছিঁড়ে ফেলা। হারিকেন আসার আগেই কিছু বাড়ি ইতিমধ্যেই মারাত্মকভাবে ক্ষতিগ্রস্ত হয়েছে (ছবিতে)। এনএইচসি অনুসারে, কিংস্টনের নরম্যান ম্যানলি আন্তর্জাতিক বিমানবন্দরে বাতাসের গতিবেগ 39 মাইল (63 কিলোমিটার) এবং 58 মাইল প্রতি ঘণ্টা (93 কিলোমিটার) দমকা হাওয়ার খবর পাওয়া গেছে। জ্যামাইকা পাবলিক সার্ভিসেস অনুসারে, ঝড়টি দেশের অবকাঠামো ধ্বংস করতে শুরু করার সাথে সাথে বিদ্যুৎ বিভ্রাট 52,000 টিরও বেশি লোককে প্রভাবিত করছে। একটি দ্বীপ ক্যারিবিয়ান অঞ্চলে, জ্যামাইকা তার নিম্ন ভৌগলিক অবস্থানের কারণে হারিকেনের প্রভাবের জন্য বিশেষভাবে ঝুঁকিপূর্ণ। অক্সফোর্ড বিশ্ববিদ্যালয়ের আবহাওয়াবিদ ডাঃ লিনা স্পেইট ডেইলি মেইলকে বলেছেন: “জ্যামাইকা একটি ছোট দ্বীপ, যার অর্থ নিরাপদ এলাকা সীমিত।” গ্রীষ্মমন্ডলীয় ঝড়ের জন্য এলিয়েন এবং এই অঞ্চলের অন্যান্য দ্বীপের তুলনায় ভালভাবে প্রস্তুত বলে মনে করা হয়। যাইহোক, অতীতে জ্যামাইকা যত ঝড়ের মুখোমুখি হয়েছে তার সবকটিই ছিল ক্যাটাগরি 3 হারিকেন বা কম। বিশেষজ্ঞরা ক্রমবর্ধমান উদ্বিগ্ন যে হারিকেন মেলিসা দ্বীপটি পরিচালনা করার জন্য প্রস্তুত হওয়ার চেয়ে বেশি শক্তিশালী হতে পারে। যদিও জ্যামাইকাকে কিছু ক্যারিবিয়ান দ্বীপের তুলনায় হারিকেনের জন্য প্রস্তুত বলে মনে করা হয়, বিশেষজ্ঞরা উদ্বিগ্ন যে মেলিসা পর্যাপ্তভাবে প্রস্তুত করার জন্য খুব শক্তিশালী হতে পারে। চিত্রিত: হারিকেন মেলিসার সামনে একজন ব্যক্তি তার বাইক চালাচ্ছেন। বিজ্ঞানীরা সতর্ক করেছেন হারিকেন মেলিসা উল্লেখযোগ্যভাবে আরও বিপজ্জনক হয়ে উঠেছে জলবায়ু পরিবর্তনের কারণে, যা মেক্সিকো উপসাগরে অস্বাভাবিকভাবে উষ্ণ জল তৈরি করেছে প্রায় 700 গুণ বেশি। দুর্যোগ ব্যবস্থাপনা পরিকল্পনা এই স্তরে আগে কখনও পরীক্ষা করা হয়নি।” এবং যখন জ্যামাইকা তার অনেক প্রতিবেশী, যেমন হাইতি এবং হিস্পানিওলা দ্বীপে ডোমিনিকান প্রজাতন্ত্রের তুলনায় ধনী, দেশটির সামনের ধ্বংসযজ্ঞের জন্য প্রস্তুত এবং পুনরুদ্ধারের জন্য উল্লেখযোগ্যভাবে সীমিত সম্পদ রয়েছে। তবে, বিজ্ঞানীরা সতর্ক করেছেন যে হারিকেন মেলিসার আকারের ঝড় ভবিষ্যতে আরও সাধারণ হয়ে উঠতে পারে। জলবায়ু পরিবর্তনের ফলে সমুদ্র পৃষ্ঠের গড় তাপমাত্রা বৃদ্ধি অব্যাহত থাকে এবং যদি চরম তাপ আরও তীব্র হয়, হারিকেনগুলি শক্তিশালী হয়ে উঠবে। জলবায়ু পরিবর্তন এবং হারিকেনের মধ্যে যোগসূত্রের বিশেষজ্ঞ অধ্যাপক রাল্ফ টুমেই ডেইলি মেইলকে বলেছেন: “আমরা জানি যে উষ্ণ মহাসাগরগুলি শক্তিশালী ঝড়কে সমর্থন করবে, তাই জলবায়ু পরিবর্তনের সাথে সরাসরি যোগ রয়েছে।” যদিও হারিকেনের মোট সংখ্যা স্থির রয়েছে, বড় ক্যাটাগরি 3 থেকে 5টি ঝড়গুলি আরও সাধারণ হয়ে উঠছে। এর অর্থ হল ক্যারিবিয়ান দ্বীপগুলিকে সম্ভবত অদূর ভবিষ্যতে আবার হারিকেন মেলিসা-স্কেল ধ্বংসের জন্য প্রস্তুত করতে হবে। হারিকেন মেলিসা: সর্বশেষ খবর। 09:00 UTC-এ, ন্যাশনাল হারিকেন সেন্টার (NHC) ঘোষণা করেছে যে হারিকেন মেলিসা কিংস্টন, জ্যামাইকা থেকে প্রায় 115 মাইল (180 কিমি) দক্ষিণ-পশ্চিমে অবস্থিত। মেলিসা উত্তর-উত্তরপূর্ব দিকে প্রায় 5 মাইল (7 কিমি/ঘন্টা) বেগে এগিয়ে চলেছে এবং বর্তমানে জ্যামাইকাতে আঘাত হানতে চলেছে৷ তারপরে ঝড়টি অব্যাহত থাকবে এবং বুধবার সকালে দক্ষিণ-পূর্ব কিউবার উপর দিয়ে এবং পরে বুধবার মধ্য বাহামাসের উপর দিয়ে যাবে বলে আশা করা হচ্ছে। সর্বাধিক স্থায়ী বাতাস ছিল 175 মাইল (280 কিমি/ঘন্টা), এটিকে সফির-সিম্পসন উইন্ড স্কেলে ক্যাটাগরি 5 ঝড় তৈরি করেছে। তবে, ঝড়টি দ্বীপের কাছে আসার সাথে সাথে বাতাসের গতি ওঠানামা হতে পারে বলে আশা করা হচ্ছে। হারিকেন-বলের বাতাস কেন্দ্র থেকে 30 মাইল (45 কিমি) পর্যন্ত বাইরের দিকে প্রসারিত হয় এবং গ্রীষ্মমন্ডলীয় ঝড়-শক্তির বায়ু বাইরের দিকে 195 মাইল (315 কিমি) পর্যন্ত প্রসারিত হয়। দ্বীপের কিছু অংশে ঝড় থেকে সর্বোচ্চ 40 ইঞ্চি বৃষ্টি হবে বলে আশা করা হচ্ছে। এটি একটি ঝড়ের ঢেউয়ের সাথে থাকবে যা স্থল স্তর থেকে নয় থেকে 13 ফুট (2.7 থেকে 3.9 মিটার) উপরে পৌঁছবে বলে আশা করা হচ্ছে। বুধবার কিউবায় উল্লেখযোগ্য ঝড়ের ঢেউয়ের সম্ভাবনাও রয়েছে, যেখানে জলের স্তর স্বাভাবিক জোয়ারের মাত্রা থেকে সাত থেকে ১১ ফুট (২.১ থেকে ৩.৩ মিটার) উপরে পৌঁছানোর সম্ভাবনা রয়েছে৷ সূত্র: NHC
প্রকাশিত: 2025-10-28 17:32:00
উৎস: www.dailymail.co.uk










